Ante el inminente impacto de Melissa, alertas, solidarios y disciplinados
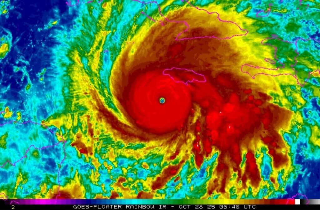
Es inminente que Melissa se interne en suelo cubano. Hasta la última hora está el deseo de que algo pase, «milagrosamente», para que el daño sea el menor posible; pero aferrarse al «quizá» no es estrategia, y no hay cabida a la ingenuidad. Se trata de un huracán muy peligroso, con vientos altamente destructivos y […]
Ante el inminente impacto de Melissa, alertas, solidarios y disciplinados Leer más »

