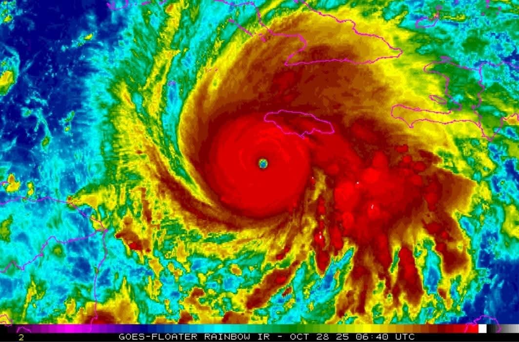
Es inminente que Melissa se interne en suelo cubano. Hasta la última hora está el deseo de que algo pase, «milagrosamente», para que el daño sea el menor posible; pero aferrarse al «quizá» no es estrategia, y no hay cabida a la ingenuidad.
Se trata de un huracán muy peligroso, con vientos altamente destructivos y precipitaciones intensas; sin embargo, no se ha perdido tiempo en la previsión, en aplicar los planes de evacuación de las personas en riesgo, de resguardo de recursos, de aseguramiento a las instituciones de Salud, de equipo de rescate, de puesta a punto de las obras hidráulicas para recibir grandes escurrimientos.
No obstante, nunca es posible preverlo todo. Hay circunstancias no descritas en protocolos, pero que pueden evitarse, porque cuando ya impacta el huracán, muy poco puede hacerse.
Y la vida, en ese momento exacto, no solo depende del desvelo de otros, sino de la conducta disciplinada y consciente, del cuidar de sí mismos y de la familia con responsabilidad. No es esta la hora de negarse a ser evacuado, o a ser asisitido si hay situación de riesgo, si es real el peligro de que suba el río, que el techo vuele, que entre el mar.
A la vista y a buen recaudo los niños, que la curiosidad no vulnere la precaución, y atentos con los abuelos, ya sin la agilidad para responder igual a situaciones de emergencia. Que estén a la mano los medicamentos imprescindibles, los alimentos, el agua potable, el teléfono y cuanto permita mantenerse informado. Y que no se pierda nunca la solidaridad y la sensibilidad en ese sentir cubano de cuidarnos unos a otros.
No hay medias tintas. Melissa llegará con fuerza y preocupa, mucho, lo que podría destruir a su paso. Pero que no sea la vida lo que quede vulnerable. Hay muchas maneras de evitarlo, y sabemos los cubanos cómo hacerlo.
(Tomado de Granma)









